《開平市水口鎮吉祥路1號地(開平市水口鎮嘉興北路221號之2)規劃設計條件調整研究報告》已完成初步編制,按程序現對該初步規劃調整說明進行公示(詳情可登錄網站:http://www.69525.cn/kpszrzyj/)。
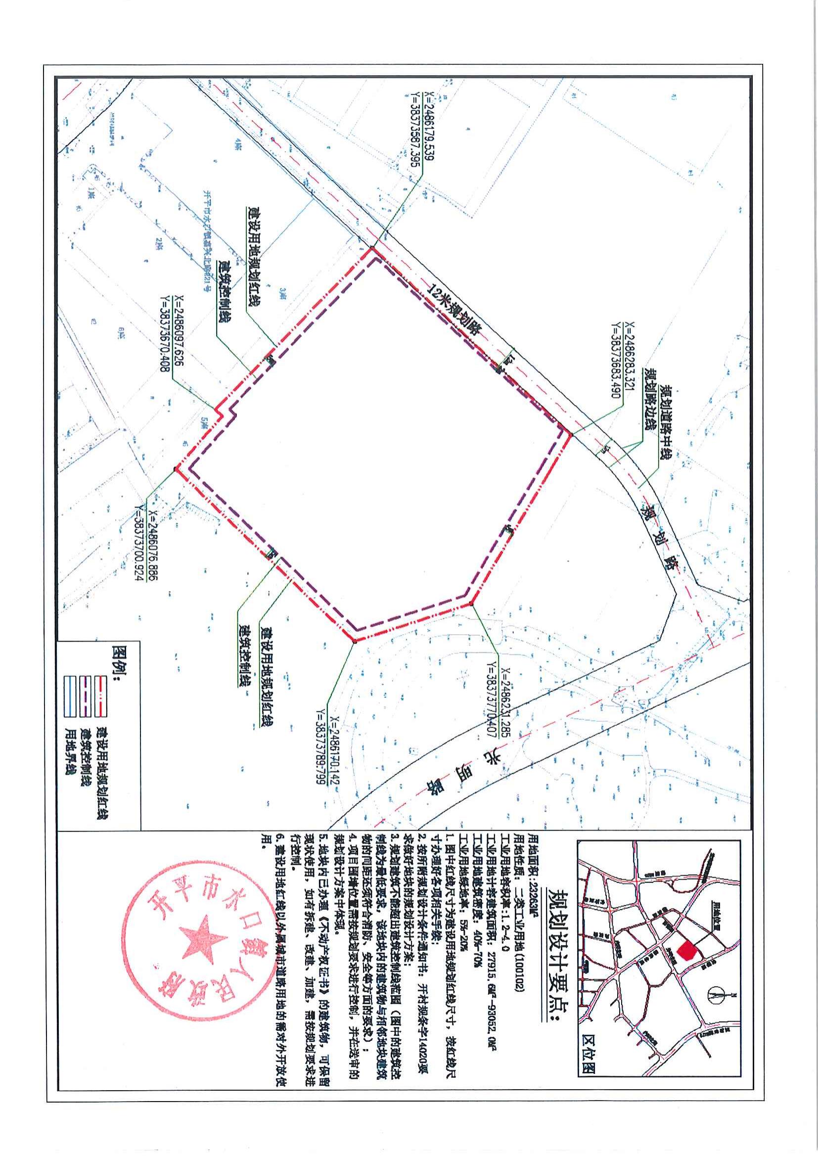
規劃方案位置:本項目地塊位于開平市水口鎮嘉興北路221號之2,東鄰燈檠村,西至規劃吉祥路,南鄰嘉興北路,面積共約2.33公頃(約34.90畝)。
受理方式:在公示期內凡對上述規劃設計方案有任何意見的市民或涉及該規劃方案的利害關系人,可憑本人身份證明或相關證明文件,向我鎮提出書面意見。
公示時間:2024年6月28日至2024年7月12日17:30時止。
公示地點:開平市水口鎮人民政府公告欄、地塊現場、開平市水口鎮人民政府網站(網址:http://www.69525.cn/skzrmzf/wzsy/)。
受理單位:開平市水口鎮規劃建設辦公室 電話:0750-2712810
聯系人:曾煒俊
傳真:0750-2712810
聯系地址:江門市開平市水口鎮大福西路38號
郵編:529321
開平市水口鎮人民政府
2024年6月27日




相關附件: